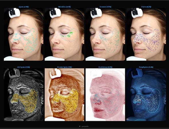
VISIA Complexion Analysis at CaloSpa® in Lexington and Floyds Knobs is a powerful tool to help guide your skincare decisions. With VISIA, you and our dedicated team can see your skin in stunning detail and spot potential trouble spots before they form.
Visia Complexion Analysis FAQs
Is a VISIA Complexion Analysis painful?
No. VISIA uses a special camera to capture images of your skin from several angles. The procedure is not invasive or painful and is comparable to undergoing an X-ray at the dentist’s office.
What are the long-term benefits of a VISIA Complexion Analysis?
VISIA lets our professionals deeply evaluate your skin to visualize potential concerns before they become visible on the skin’s surface. In the long term, this means that you can choose to use products or undergo treatments that prevent these concerns from worsening, which will help you maintain and improve the condition of your skin for years.
Who is eligible for a VISIA Complexion Analysis?
Any men or women who wish to learn more about their skin and subsequently improve its condition are eligible for a complexion analysis with VISIA. Our patients are a diverse group of individuals, and we have plenty of experience helping people from all walks of life fulfill their aesthetic goals.










